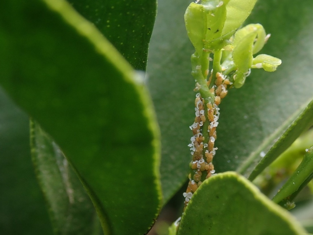
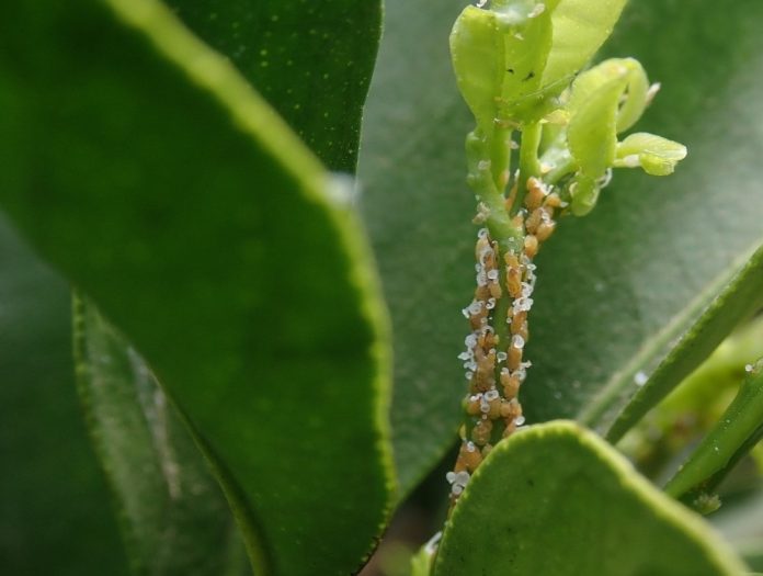
El Ministerio de Agricultura de Israel ha anunciado la presencia de nuevos focos con poblaciones de Diaphorina citri, vector del HLB, en parques y jardines privados del Valle de Hula, Dan y Ghajar, al norte del Valle del Jordán, más de 150 km al norte del Valle de Hefer, donde hace poco más de un año de detectó esta plaga por primera vez en Israel, que alcanzó así la cuenca mediterránea.
El ministerio israelí destaca que se están invirtiendo muchos recursos para proteger la industria citrícola nacional; prueba de ello, es el “rápido control” del primer foco del psílido asiático de los cítricos gracias al “esfuerzo integrado y continuo con el Consejo de Planta y las comunidades locales, que incluyó operaciones de control de plagas y monitoreo intensivo en huertos y comunidades cercanas”.
Sin embargo, no se ha podido contener la expansión de la plaga, que se ha localizado ahora en plantas de Murraya paniculata, una especie ornamental muy popular en Israel, que pertenece a la familia de las rutáceas, como los cítricos. Al contrario que el primer foco, muy localizado, el psílido se ha extendido por jardines y patios privados, no en fincas agrícolas. Para evitar que alcance las zonas productoras de cítricos, el Gobierno de Israel está divulgando información sobre este insecto para facilitar su identificación.
Investigadores del IVIA reconocen «cierto hermestismo» en la gestión de la plaga por parte de Israel
En una jornada sobre el HLB celebrada esta semana en el Instituto Valenciano de Investigaciones Agrarias, varios científicos reconocieron «cierto hermetismo» en la gestión de la plaga por parte de Israel. Desconocen qué tratamientos se están realizando, y si van a proceder a la importación del parasitoide de D. citri, la avispilla Tamarixia radiata, una de las primeras acciones que el IVIA aconseja en el hipotético caso de que apareciera el vector. “La primera acción que hay que hacer es introducir Tamarixia radiata –no antes, porque es un parasitoide específico-. A nivel de investigación es una de nuestras prioridades. En la Universidad de Florida he trabajado de primera mano con T. radiata desde 2003. Conocemos el parasitoide, la interacción, las crías. También hemos trabajado en la Universidad de Riverside (California) para conocer su sistema de cría. Tenemos muy buenos contactos allí y vamos a relanzar estas colaboraciones para tener un canal de comunicación rápida y fluida para introducirlo lo antes posible en el supuesto de que fuera necesario, y también hemos empezado a trabajar con el Servicio de Sanidad Vegetal para obtener los permisos”, explicaba Alberto Urbaneja, Centro de Protección Vegetal y Biotecnología del IVIA, en una entrevista a Phytoma.
Con 16.895 hectáreas de superficie, Israel es un importante productor y exportador de cítricos. Actualmente, la industria citrícola cuenta con unos 2.800 productores, ubicados en su mayoría en la zona costera.
“La detección de D. citri en el Mediterráneo, hace vislumbrar un escenario futuro nada alentador. El potencial biótico de D. citri es mucho mayor que Trioza erytreae (el otro vector del HLB. Presente en la península) y es, además, capaz de multiplicarse rápidamente sobre las principales variedades y especies de cítricos cultivadas en el Mediterráneo. Por todo ello, es de vital importancia impedir la llegada de D. citri a nuestro territorio y, con el fin de evitar su propagación y conseguir su erradicación, permanecer alerta para actuar con rapidez y eficacia en caso de detección”, advertían investigadores del IVIA en un artículo publicado el año pasado en la revista Phytoma.
















