La Consejería de Agricultura, Pesca, Agua y Desarrollo Rural de la Junta de Andalucía indemnizará a las explotaciones de pimiento bajo invernadero especialmente afectadas por Thrips parvispinus durante este año. Esta medida se considera necesaria y urgente para paliar la situación generada y recuperar el potencial productivo de las explotaciones.

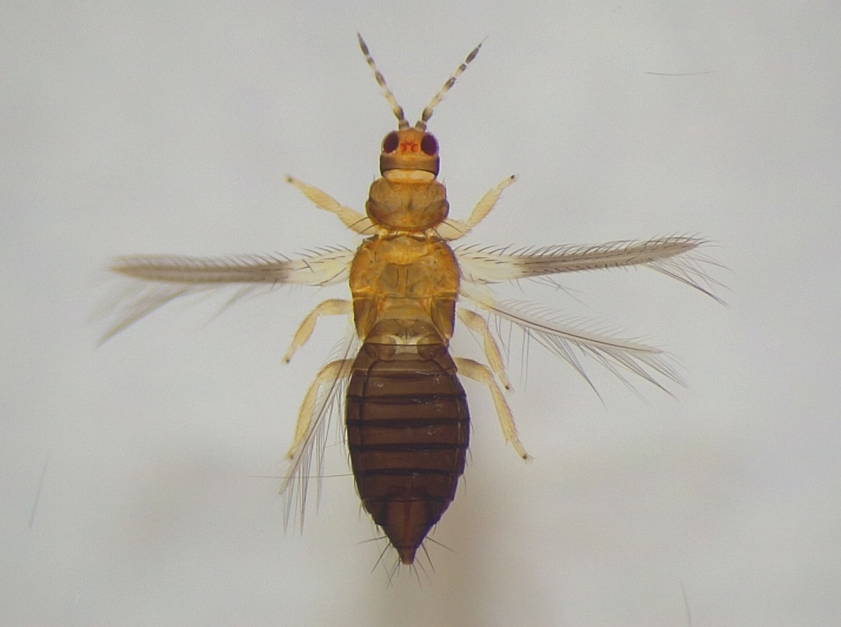
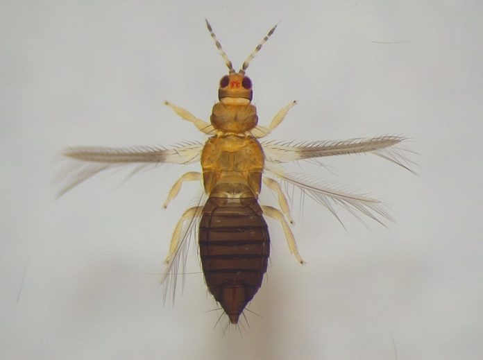
Durante 2025 se ha producido un incremento muy significativo de la incidencia de T. parvispinus en las provincias de Almería y Granada, motivado en gran medida por las altas temperaturas registradas, que no han favorecido el establecimiento de los organismos de control biológico que normalmente se suelen utilizar para el control de esta plaga. Esto ha provocado importantes pérdidas de producción en el sector del pimiento bajo invernadero, debiendo recurrir en algunos casos de extrema afección al arranque del cultivo.

La Consejería publicó el 5 de diciembre la Orden por la que se aprueban las bases reguladoras para la concesión de ayudas indemnizatorias, en régimen de concurrencia competitiva, dirigidas a los titulares de explotaciones destinadas a la producción de pimiento bajo invernadero, especialmente afectadas (100% de la producción) por T. parvispinus durante este año.

El objetivo principal es proporcionar asistencia de emergencia a los agricultores afectados para compensar las pérdidas y facilitar la recuperación productiva. La convocatoria se gestiona mediante el procedimiento de concurrencia competitiva. El importe global máximo asciende a tres millones de euros, financiado en su totalidad con fondos propios de la Junta de Andalucía,.

Podrán beneficiarse los titulares de explotaciones en Almería y Granada que hayan sufrido pérdidas del 100% en alguna de sus parcelas y que hayan tenido que arrancar el cultivo entre el 1 de septiembre de 2025 y la fecha de publicación de la convocatoria. La ayuda se establece en 20.000 euros por hectárea de superficie admisible, con un límite máximo de 50.000 euros por persona beneficiaria.