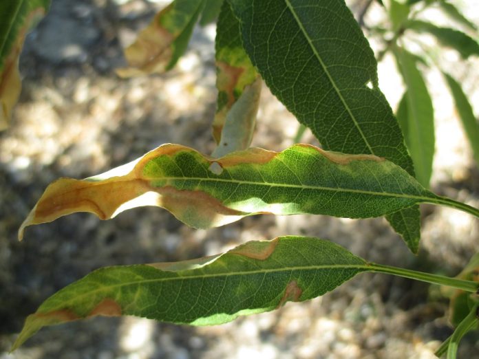
La Autoridad Europea de Seguridad de los Alimentos (EFSA) ha actualizado la base de datos de las plantas hospedantes de Xylella spp., que incluye 37 nuevas especies. Con esta revisión, son ya 595 las especies que han sido infectadas por esta bacteria.
Los nuevos hospedadores añadidos a la lista incluyen plantas ornamentales, silvestres y comerciales comunes, como la pulga (Erigeron sp.), Helichrysum stoechas, pistacho (Pistacia vera) y caqui (Diospyros kaki). La mayoría estaban infectadas de forma natural (no artificial) y se encontraron tanto en países de la Unión Europea (Francia, Italia, Portugal y España) como en países extracomunitarios (Estados Unidos e Irán). De las casi seiscientas especies de plantas que integran esta lista, en 343 la infección se ha identificado mediante al menos dos métodos de detección, en condiciones naturales o experimentales.
La actualización se completó tras una búsqueda exhaustiva de la última literatura científica, de las notificaciones de Europhyt, el sistema de notificación europeo para las intercepciones fitosanitarias, y de los resultados de las investigaciones de la EFSA. Algunos datos existentes sobre cepas y coordenadas geográficas de X. fastidiosa se han actualizado o modificado para aumentar la precisión y la coherencia de esta base de datos.
El objetivo de esta lista es proporcionar una base científica a investigadores y evaluadores de riesgos y ayudar a las autoridades fitosanitarias en la toma de decisiones relacionadas con las tareas de control y vigilancia, así como otras medidas preventivas.
La primera lista de especies de plantas hospederas de X. fastidiosa publicada por la EFSA se recopiló en 2013 a partir de la base de datos la Universidad de Berkeley (California), centrada principalmente en las subespecies relacionadas con la enfermedad de Pierce en vid. La EFSA actualizó su base de datos en 2015 y 2016. El aumento en el número total plantas hospedantes entre 2013 y 2018 se debe principalmente a las nuevas especies infectadas en Europa en los últimos cinco años, aunque también refleja la cobertura más amplia de literatura científica.
Imagen: E. Marco Noales (IVIA).















